Hurricane Radar: Your Guide To Tracking Storms

B.Designwall 138 views
Hurricane Radar: Your Guide To Tracking Storms

Hurricane Radar: Your Guide to Tracking Storms

Understanding hurricane radar is crucial for anyone living in or near coastal areas. This powerful tool provides real-time data, helping you stay informed and safe during hurricane season. Let’s dive into what hurricane radar is, how it works, and why it’s so important.

What is Hurricane Radar?

Hurricane radar , often referred to as weather radar, is a system used to detect precipitation, estimate its intensity, and track its movement. It’s an essential tool for meteorologists, especially during hurricane season. The data collected by these radars helps in forecasting the path and intensity of hurricanes, giving communities valuable time to prepare and evacuate if necessary. Think of it as a high-tech weather eye, constantly scanning the skies to give us a heads-up about approaching storms.

The technology behind hurricane radar is pretty impressive. It works by emitting pulses of electromagnetic radiation (radio waves) and then listening for the echoes that bounce back from objects in the atmosphere, like raindrops, hailstones, and even debris. By analyzing these echoes, meteorologists can determine the location, size, shape, and intensity of precipitation. The stronger the echo, the heavier the rainfall. This information is then processed and displayed on radar maps, which we often see on TV or online. These maps use different colors to represent different levels of precipitation intensity, making it easy to visualize the storm’s structure and movement. Modern radar systems, like Doppler radar, can even measure the speed and direction of the wind within a storm, providing even more detailed information about its behavior.

The history of hurricane radar dates back to World War II when radar technology was first developed for military purposes. After the war, scientists and engineers realized the potential of radar for weather forecasting. The first weather radars were relatively simple, but they paved the way for the advanced systems we use today. Over the years, hurricane radar technology has evolved significantly. Early radars could only detect the presence of precipitation, but modern Doppler radars can measure the velocity of raindrops, allowing meteorologists to see the wind patterns inside a storm. This is particularly useful for identifying features like the eye wall, which is the most intense part of a hurricane. Advancements in computing power and data processing have also made it possible to create high-resolution radar images and animations, making it easier for the public to understand the potential impact of a hurricane.

Decoding Radar Images: What to Look For

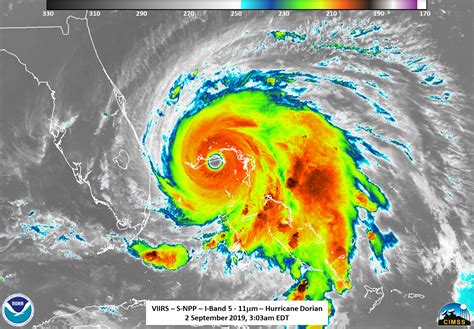
When you look at hurricane radar images, you’re essentially seeing a map of precipitation intensity. Different colors represent different levels of rainfall, with blues and greens typically indicating light rain, while yellows, oranges, and reds signify heavier precipitation. The scale on the side of the radar image will usually tell you exactly how much rainfall each color represents. Beyond just the colors, pay attention to the shape and structure of the storm. A well-defined eye, for example, is a sign of a strong hurricane. Spiral bands of rain extending outward from the center of the storm can also indicate its size and intensity.

Understanding the different features on a radar image can help you better assess the threat posed by a hurricane. The eye of the hurricane is usually the calmest part of the storm, but it’s surrounded by the eye wall, which is the area of most intense winds and rainfall. The rainbands are the spiral bands of thunderstorms that extend outward from the eye wall. These bands can stretch for hundreds of miles and bring heavy rain and strong winds to areas far from the center of the storm. When looking at a radar image, also pay attention to the direction the storm is moving. This will give you an idea of where the storm is headed and which areas are most likely to be affected. Keep in mind that hurricane tracks can change, so it’s important to stay updated with the latest forecasts and radar information.

To effectively interpret hurricane radar images, it’s helpful to compare the radar data with other sources of information, such as satellite imagery and weather models. Satellite images provide a broader view of the storm, showing its overall size and structure. Weather models use mathematical equations to predict the future path and intensity of the hurricane. By combining all of these sources of information, meteorologists can provide more accurate and reliable forecasts. It’s also a good idea to check multiple radar sources, as different radar systems may have different strengths and weaknesses. Some radar systems, for example, are better at detecting light precipitation, while others are better at measuring wind speeds. By comparing data from multiple sources, you can get a more complete picture of the storm.

Key Radar Resources: NOAA and the Hurricane Center

When tracking hurricanes, several reliable resources provide hurricane radar data. The National Oceanic and Atmospheric Administration (NOAA) is a primary source for weather information in the United States. NOAA operates a network of weather radars across the country, providing real-time data on precipitation and wind. The NOAA website is a great place to find radar images and forecasts for your area. The National Hurricane Center (NHC), a division of NOAA, is specifically responsible for tracking and forecasting hurricanes in the Atlantic and Eastern Pacific basins. The NHC website provides detailed information about active hurricanes, including their current location, intensity, and predicted path.

The National Hurricane Center (NHC) is your go-to source for all things hurricane-related. They issue forecasts, warnings, and advisories for tropical cyclones in the Atlantic and Eastern Pacific. Their website features interactive maps, radar images, and detailed discussions about the current state of each storm. The NHC also provides information about the potential hazards associated with hurricanes, such as storm surge, heavy rainfall, and strong winds. They work closely with local emergency management agencies to ensure that communities have the information they need to prepare for and respond to hurricanes. Following the NHC’s guidance is essential for staying safe during hurricane season. They use advanced technology and scientific expertise to provide the most accurate and up-to-date information about these dangerous storms.

Other valuable hurricane radar resources include local television stations and weather websites. Many local TV stations have their own weather teams that provide detailed forecasts and radar analysis. These local sources can be particularly helpful because they focus on your specific area and can provide information about local impacts, such as road closures and evacuation orders. Weather websites like AccuWeather and The Weather Channel also offer radar images and forecasts, as well as articles and videos about hurricane preparedness. Remember to rely on official sources of information, such as NOAA and the NHC, for the most accurate and reliable data. Avoid relying on social media or unverified sources, as they may contain inaccurate or outdated information.

Staying Safe: Using Radar to Prepare

Hurricane radar isn’t just about watching the storm; it’s about staying safe. By monitoring radar images and forecasts, you can make informed decisions about whether to evacuate, how to protect your property, and what supplies to have on hand. If a hurricane is approaching your area, pay close attention to the storm’s predicted path and intensity. If you’re in an area that’s likely to be affected, follow the instructions of local authorities and be prepared to evacuate if necessary. Knowing where the storm is and where it’s headed can give you the time you need to secure your home, gather essential supplies, and evacuate to a safer location.

Creating a hurricane preparedness plan is crucial for ensuring your safety and the safety of your family. Your plan should include things like identifying evacuation routes, stocking up on essential supplies, and securing your home against potential damage. Essential supplies include things like food, water, medicine, flashlights, and batteries. It’s also a good idea to have a first-aid kit and a portable radio. When securing your home, make sure to board up windows, trim trees, and bring in any outdoor furniture or decorations. If you live in a mobile home, you should evacuate to a safer location, as mobile homes are particularly vulnerable to hurricane-force winds. Review your insurance policies to ensure that you have adequate coverage for potential damage. Share your plan with your family and make sure everyone knows what to do in the event of a hurricane.

Hurricane radar data is a critical tool for making these preparations. Use the radar to track the storm’s progress and make informed decisions about when to take action. If the radar shows that the storm is intensifying or changing direction, be prepared to adjust your plans accordingly. Remember, the goal is to stay safe and protect your property. Don’t wait until the last minute to take action. The earlier you start preparing, the better. By staying informed and being proactive, you can significantly reduce your risk of harm during a hurricane. Always heed the warnings of local authorities and follow their instructions. They are working to protect the community and ensure everyone’s safety.

Understanding Different Radar Technologies

Various hurricane radar technologies are used today, each with its own strengths. Doppler radar, for example, is a type of radar that can measure the velocity of objects, such as raindrops, in addition to their location. This allows meteorologists to see the wind patterns inside a storm, which is particularly useful for identifying features like the eye wall. Another type of radar is dual-polarization radar, which can distinguish between different types of precipitation, such as rain, snow, and hail. This can help meteorologists better understand the structure and intensity of a storm.

Doppler radar works by using the Doppler effect, which is the change in frequency of a wave in relation to an observer who is moving relative to the wave source. In the case of radar, the wave is a radio wave, and the observer is the radar antenna. When the radio wave bounces off of a moving object, like a raindrop, the frequency of the wave changes slightly. By measuring this change in frequency, the radar can determine the velocity of the object. This information is then used to create a map of wind speeds and directions within the storm. Doppler radar is particularly useful for detecting tornadoes and other types of severe weather.

Hurricane radar systems are constantly evolving, with new technologies being developed all the time. One area of ongoing research is improving the accuracy and resolution of radar images. Another area is developing radar systems that can be deployed in remote areas or on mobile platforms, such as drones. These advancements will help meteorologists better understand and predict hurricanes, ultimately leading to improved warnings and preparedness. Staying informed about the latest radar technologies can help you better understand the information you’re seeing and make more informed decisions about your safety.

Conclusion

Hurricane radar is an indispensable tool for anyone living in hurricane-prone areas. By understanding how it works and how to interpret radar images, you can stay informed, make smart decisions, and protect yourself and your loved ones. Remember to rely on trusted sources like NOAA and the National Hurricane Center, and always have a preparedness plan in place. Stay safe out there, guys!