Hurricane Tracker: Satellite View Explained

B.Designwall 44 views
Hurricane Tracker: Satellite View Explained

Hurricane Tracker: Satellite View Explained

Hey guys! Ever wondered how we keep tabs on those massive storms, the hurricanes? Well, the hurricane tracker satellite view is your go-to source for understanding these powerful weather systems. Let’s dive in and see how it works, what it tells us, and why it’s so important.

Understanding the Hurricane Tracker Satellite View

So, what exactly is a hurricane tracker satellite view ? In a nutshell, it’s a visual representation of a hurricane or tropical storm, as seen from space. Satellites equipped with special instruments are constantly orbiting the Earth, keeping a close eye on the weather. These instruments capture different types of data, which are then processed and displayed in various formats, creating the “view” we see on our screens. This view provides a comprehensive look at the storm, including its size, intensity, and movement. The data is super helpful for meteorologists, emergency responders, and the general public, too.

Now, there are several kinds of satellites that contribute to this amazing view. Geostationary satellites, for example, stay in a fixed position relative to the Earth, providing continuous monitoring of a specific area. They’re great for tracking storm movement and observing changes over time. Then there are polar-orbiting satellites that circle the Earth from pole to pole. They offer detailed close-up views and collect different types of data, such as temperature, humidity, and wind speed. The combination of these satellites gives us a complete picture of the hurricane.

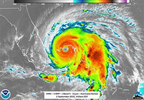
The images you see in the hurricane tracker satellite view come in a few different forms. There are visible images, which are essentially satellite photos of the storm, showing the clouds and the storm’s structure. Then there are infrared images, which measure the heat emitted by the storm. Warmer areas appear in different colors than colder ones, and this helps us identify the storm’s intensity and track the development of thunderstorms. Water vapor images reveal the moisture content in the atmosphere, helping us understand the storm’s dynamics and predict its path. You might also encounter radar images, which show precipitation and help determine the storm’s rainfall rate. Satellite data is essential for accurate hurricane tracking and forecasting. This helps us understand the structure of the storm, its intensity, and its likely path. They help with tracking and provide us with early warnings about the possibility of a hurricane. It also helps in predicting where the storm might make landfall, providing essential information for disaster preparedness and public safety.

So, whether you’re a weather enthusiast or just someone who wants to stay safe, understanding the hurricane tracker satellite view is crucial. Let’s keep exploring! The view shows us the overall structure of the storm, including the eye, eyewall, and rain bands. It tells us about the intensity of the storm. It helps us predict the storm’s path. Satellite imagery is updated frequently, often every few minutes, to provide the most current information. This real-time data allows meteorologists to monitor the storm’s behavior and make adjustments to forecasts as needed. This helps to issue timely warnings and advisories to the public. This ensures that people have enough time to prepare for the storm, evacuate if necessary, and take other safety precautions.

How the Hurricane Tracker Satellite View Works

Alright, let’s get into the nitty-gritty of how this cool technology works, shall we? The process is pretty fascinating. It all starts with those satellites I mentioned earlier. They’re equipped with sophisticated instruments that collect data from the Earth’s atmosphere. These instruments are designed to sense different types of energy, such as visible light, infrared radiation, and microwaves. This energy is then converted into digital data, which is sent back to ground stations. At these stations, the data is processed and analyzed. Meteorologists use this data to create the images and maps we see on our screens. They also use it to create numerical models that predict the storm’s behavior.

Visible light images work a lot like a regular camera. The satellite captures the sunlight reflected off the clouds and the Earth’s surface. Infrared images measure the heat emitted by objects, allowing us to see the temperature of the clouds and the sea surface. Colder areas, like the tops of thunderstorms, appear in different colors than warmer areas. Microwave images detect the presence of water droplets and ice particles in the storm, giving us information about rainfall rates and storm intensity. The data from these different instruments is combined to create a comprehensive view of the storm. This information is used to determine the storm’s size, intensity, and movement.

Once the data is processed, it’s displayed in various formats. Some of the most common formats include:

  • Visible Images: These show the clouds and the storm’s structure, similar to a regular photograph.
  • Infrared Images: These show the temperature of the clouds and sea surface, with different colors representing different temperatures.
  • Water Vapor Images: These reveal the moisture content in the atmosphere, helping to understand the storm’s dynamics.
  • Radar Images: These show precipitation, helping to determine rainfall rates and storm intensity.

The data is updated frequently, often every few minutes. This real-time information allows meteorologists to monitor the storm’s behavior and make adjustments to forecasts as needed. The final output is what we see on weather websites, TV, and in weather apps. It’s a combination of images, maps, and text that helps us understand the storm’s current state and its predicted path.

What We Can Learn from the Hurricane Tracker Satellite View

Okay, so what can we actually learn from this hurricane tracker satellite view ? The information we get is super valuable. It helps us understand the storm’s structure, intensity, and potential impact. Satellite images reveal the eye of the storm, the eyewall, and the rain bands. The eye is the center of the storm, where the winds are relatively calm. The eyewall is the area surrounding the eye, where the strongest winds and heaviest rainfall occur. The rain bands are spiral-shaped bands of thunderstorms that extend outward from the eyewall. By observing these features, meteorologists can assess the storm’s size and organization.

Satellite data also helps us measure the intensity of the storm. For example, infrared images can be used to determine the temperature of the cloud tops. Colder cloud tops indicate more intense thunderstorms. Microwave images can be used to estimate the storm’s rainfall rate. These measurements help meteorologists classify the storm as a tropical depression, tropical storm, or hurricane. This information is used to issue warnings and advisories, and the public can prepare accordingly. It also shows the path of the storm. The satellite view helps us track the storm’s movement and predict its future path. Meteorologists use computer models to forecast the storm’s path, taking into account various factors such as wind patterns, ocean temperatures, and atmospheric pressure. By monitoring the storm’s path, we can determine the areas that are at risk of being affected by the storm. This helps us to issue timely warnings and advisories, which is extremely important for public safety.

In addition, the hurricane tracker satellite view helps us monitor the storm’s changes over time. Meteorologists use satellite data to track the storm’s intensification or weakening. They also monitor changes in the storm’s structure, such as the formation of a new eye or the expansion of the rain bands. This information is crucial for issuing accurate forecasts and warnings. This early warning system can help residents take necessary steps to protect their lives and property. By understanding the storm’s intensity, path, and potential impact, individuals can make informed decisions about their safety. This can include evacuating from affected areas, securing their homes, and stocking up on emergency supplies. The data from these satellites plays a vital role in providing the most accurate and up-to-date information, giving us the tools to prepare and respond effectively to these powerful weather events. This helps us to take necessary steps to protect lives and property, and it also contributes to overall public safety and disaster preparedness.

Benefits of Using Hurricane Tracker Satellite View

Using the hurricane tracker satellite view has tons of benefits, especially in today’s world. Firstly, it offers real-time monitoring. The constant updates from satellites provide a minute-by-minute view of a storm’s behavior. This immediate feedback allows meteorologists to make quick adjustments to forecasts and warnings. The more we know, the better prepared we can be.

Secondly, the data is comprehensive. The satellite view gives a complete overview of the storm, including its structure, intensity, and movement. This all-encompassing view helps us understand the storm and its potential impacts. This comprehensive approach ensures that we have all the information needed to make informed decisions and take appropriate action.

Thirdly, the accuracy is improved. The data from satellites, combined with other sources, helps improve the accuracy of forecasts and warnings. With more accurate information, we can better predict the storm’s path, intensity, and potential impacts. These improvements are crucial for protecting people and property from the dangers of hurricanes.

And fourthly, it helps in disaster preparedness. The insights we gain from the hurricane tracker satellite view enable us to prepare for and respond to hurricanes more effectively. Knowing the potential impact areas and the storm’s predicted path enables governments and communities to develop evacuation plans, deploy resources, and educate the public. This proactive approach helps to minimize damage and save lives.

Where to Find the Hurricane Tracker Satellite View

Okay, so where can you actually see this cool technology in action? There are several reliable sources. The National Hurricane Center (NHC) is the primary government agency for hurricane tracking in the United States. You can find their satellite imagery and forecasts on their website. It’s the most authoritative source for the latest information on hurricanes. The National Oceanic and Atmospheric Administration (NOAA) also provides a wealth of information. They have a variety of satellite imagery, maps, and forecasts on their website, covering all aspects of hurricane tracking. You can find a lot of data there! Finally, there are also various weather websites and apps. Many popular weather services, such as AccuWeather and The Weather Channel, provide satellite imagery, maps, and forecasts on their websites and apps. These sources offer user-friendly interfaces and often provide real-time updates.

When you’re looking at these sources, keep in mind a few things. Look for trusted sources. Make sure the website or app you’re using is reputable and provides accurate information. Always cross-reference the information. Compare information from multiple sources to get a more complete picture of the storm. Stay informed and be proactive! Use the information to understand the storm and stay safe. Remember, staying informed and being proactive are the keys to staying safe during hurricane season.

Conclusion

So there you have it, guys! The hurricane tracker satellite view is a super powerful tool for understanding and preparing for hurricanes. From its technology to the information it provides, this tool is vital for keeping us safe. Now you’re equipped to understand this amazing technology and stay informed during hurricane season. Stay safe out there! Remember to always stay informed and follow the guidance of local authorities. Together, we can navigate the hurricane season safely and effectively.