OSHurricaneSC: Beryl's Live Path Tracker

B.Designwall 103 views
OSHurricaneSC: Beryl's Live Path Tracker

OSHurricaneSC: Beryl’s Live Path Tracker

Hey there, weather enthusiasts! Are you ready to dive deep into the fascinating world of hurricanes and tropical storms? We’re going to explore the live path tracker for Hurricane Beryl , brought to you by the amazing team at OSHurricaneSC. Buckle up, because we’re about to embark on a journey filled with meteorology, real-time data, and a whole lot of excitement. This article will provide you with all the details you need to track Beryl’s journey and understand the science behind it.

Decoding OSHurricaneSC and its Hurricane Tracking Prowess

Alright, let’s start with the basics. What exactly is OSHurricaneSC, and why should you care about their hurricane tracking? OSHurricaneSC, or Ocean State Hurricane Center, is a dedicated resource for weather information, specifically focusing on tropical cyclones. These guys are the real deal when it comes to providing up-to-date and accurate data on hurricanes, tropical storms, and other severe weather events. They’re like the superheroes of weather forecasting, tirelessly working to keep us informed and safe.

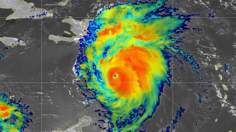
Their hurricane tracking prowess comes from a combination of cutting-edge technology, expert analysis, and a commitment to providing reliable information. They gather data from various sources, including satellite imagery, weather models, and reports from the National Hurricane Center (NHC) and other meteorological agencies. This comprehensive approach allows them to create detailed forecasts, track the paths of storms, and provide valuable insights into their potential impact. OSHurricaneSC’s mission is to empower you with the knowledge you need to prepare for and respond to these powerful natural events. This dedication makes them a go-to source for anyone wanting to stay ahead of the storm.

When you visit their website or use their tracking tools, you’ll be greeted with a wealth of information. You’ll find maps displaying the current location of the storm, its projected path, wind speeds, and other crucial data. They often include interactive features that allow you to zoom in, see the potential areas affected, and access detailed analysis from their team of experts. It’s like having a personal meteorologist at your fingertips, guiding you through the complexities of hurricane season. Understanding how to interpret this information is key to staying safe and informed, and OSHurricaneSC makes it easy.

So, why is OSHurricaneSC so valuable? First off, they are dedicated to accuracy . They go above and beyond to verify the data and provide the most reliable information possible. Secondly, they’re constantly updating their resources. The path of a hurricane is dynamic, and OSHurricaneSC is on top of providing real-time data and adjustments to their forecasts. This means you’re always getting the latest view of the situation. Finally, they provide a user-friendly experience. Their website and tracking tools are designed to be accessible and easy to understand, even for those who aren’t weather experts. It’s all about empowering you with the information you need, when you need it.

Unveiling Hurricane Beryl: A Deep Dive into the Storm

Now that we’ve got OSHurricaneSC covered, let’s turn our attention to the star of the show: Hurricane Beryl . Understanding a hurricane, its formation, and its potential impact is important to being prepared. This is where the live path tracker comes into play. The live path tracker is a dynamic tool that shows the current location of Beryl and its predicted path over time. This kind of information helps to understand the storm’s intensity and it helps forecast. It’s essentially a virtual window into the heart of the storm, giving you a real-time view of its movements.

Beryl, like all hurricanes, started as a tropical disturbance, gathering strength over warm ocean waters. As it intensified, it was upgraded to a tropical storm and eventually became a hurricane. The intensity of Beryl is measured by a combination of factors, including sustained wind speeds, the minimum central pressure, and the size of the storm. These factors determine its rating on the Saffir-Simpson Hurricane Wind Scale, which ranges from Category 1 (least intense) to Category 5 (most intense). As Beryl moves across the ocean, it’s subject to various forces like the Coriolis effect, steering currents, and interaction with the jet stream. These factors all influence its path and the potential impact on land.

But wait, what about those hurricane categories? The Saffir-Simpson Hurricane Wind Scale is a critical tool for understanding the potential impact of a hurricane. It’s based on the sustained wind speeds of a hurricane and provides a general idea of the damage that can be expected. For instance, a Category 1 hurricane might cause minor damage, while a Category 5 hurricane can cause catastrophic damage. This scale helps people and authorities to determine the severity and the preparations that are needed to protect lives and property. It’s an important tool for understanding the potential risks associated with a hurricane.

Now, let’s talk about the specific features of OSHurricaneSC’s live path tracker for Beryl. You will likely see a map with the storm’s current location, indicated by a marker. The predicted path is typically displayed as a line, with arrows or other markers showing the direction the storm is expected to take. You’ll also find a timeline that indicates the projected arrival times in different locations, as well as the potential impacts, such as wind speeds and rainfall amounts. Many trackers include detailed information about wind forecasts, helping you to understand the potential impact. It’s all designed to provide a comprehensive view of the storm’s behavior. This is not just about the location of the storm, but how its intensity and size play a role in the impact.

Alright, now that we’re familiar with the basics, let’s dive into how to effectively use the live path tracker . When you open the tracker, the first thing you’ll see is a map displaying the current location of Hurricane Beryl. This marker is updated frequently, usually every few hours, to reflect the latest information from the NHC and other sources. Surrounding the current location, you’ll see a series of lines or cones, representing the potential path of the storm. The width of the cone indicates the uncertainty in the forecast, meaning that the storm could potentially deviate from the center of the cone. It’s important to remember that these are just probabilities and the storm could travel anywhere within the cone.

As you zoom in and explore the map, you’ll also notice other important data points. Wind speed is a critical factor, and the tracker will typically display the sustained wind speeds associated with the storm. This information is crucial for understanding the intensity of the storm and the potential for damage. You will also see information about the size of the storm. Size is measured by the area of the storm and the radius of its strongest winds. The larger the storm, the more extensive the impact.

In addition to the current location and path, the tracker also provides detailed forecast information. This includes the projected arrival times of the storm in different locations, as well as the potential impacts, such as wind speeds, rainfall amounts, and storm surge. The forecast data is usually displayed in a timeline format. As the storm gets closer to land, the tracker will also provide information on evacuation zones, and any warnings and watches in effect. This information can be lifesaving, allowing you to quickly determine if you are in danger and what steps to take.

Another very helpful feature of the tracker is the ability to track the storm’s evolution over time. By looking at past data, you can see how the storm has changed and how its path has shifted. This historical data can help you better understand the storm’s behavior and the potential risks it poses. Also, trackers frequently incorporate live updates that show the effects on land. Be sure to check the tracker regularly for the most up-to-date data and insights from the OSHurricaneSC team. They will provide additional analysis and guidance as the storm evolves.

Preparing for Hurricane Beryl: Safety Tips and Resources

Hurricane Beryl is a reminder that we all need to be prepared for the effects of such a powerful storm. Knowing how to prepare is critical to keeping you and your loved ones safe. It starts with having a plan. Your plan should include things like an evacuation route, the location of your nearest shelter, and a list of essential supplies. It’s also important to make sure everyone in your household knows the plan and how to implement it. Practice the plan to make sure it works and to ensure that everyone feels comfortable with it. Ensure that you have a way to receive alerts and warnings from your local authorities and the National Weather Service. This could be a weather radio, a smartphone app, or a subscription to a local news service.

Gathering your supplies is also vital. In addition to knowing where your plan is, you also need to ensure that you have the right supplies. You should have enough non-perishable food, water, and medications to last at least a few days. You should also have flashlights, batteries, a first-aid kit, and any other essential items, like baby supplies or pet food. Your emergency kit should be ready to go and easily accessible. Have some cash on hand, as ATMs and credit card machines might not work during a power outage. Ensure that you have all the necessary documents like identification, insurance policies, and any medical information. It’s all about making sure you can get through the storm in comfort and safety.

One of the most important things to do is to stay informed. Continue to monitor the live path tracker and follow the guidance from OSHurricaneSC and local authorities. Do not rely on social media alone for updates. Social media can be useful for sharing information, but it is not always a reliable source of information. Tune in to a local news station or a NOAA weather radio to get the latest updates. Be aware of the risks in your area. Depending on your location, you might face different hazards like flooding, high winds, and storm surge. Know your evacuation zone and be ready to evacuate if told to do so by authorities. If you are told to evacuate, do so immediately and follow all instructions from the emergency personnel. They have your best interests at heart.

During a hurricane, there are additional safety measures to consider. If you are told to evacuate, do so immediately. If you’re sheltering in place, stay indoors and away from windows and doors. Close all doors and windows and secure them if possible. During a power outage, never use candles or other open flames as a source of light, and never use a generator indoors. Be careful of downed power lines and report them to the authorities. After the storm, there are also things to be aware of. Do not go outside until authorities tell you it’s safe. Check for any damage to your home and make sure there are no hazards before entering. Be careful when driving and watch out for debris on the roads. Report any damage to your insurance company as soon as possible, and be patient, as it may take a while for services to be restored. This is a crucial time to stay vigilant and follow the guidance from your local authorities.

Conclusion: Staying Informed with OSHurricaneSC

So, there you have it, folks! We’ve taken a deep dive into the world of OSHurricaneSC and their amazing live path tracker for Hurricane Beryl . Remember, staying informed and prepared is the best way to weather any storm. With OSHurricaneSC as your guide, you’ll be well-equipped to track the storm’s path, understand its potential impact, and stay safe. Remember to bookmark their website, check their updates regularly, and share their valuable resources with your friends and family. Because when it comes to hurricanes, knowledge is truly power.

Stay safe out there, and keep those weather-tracking skills sharp!